RESPLENDENCE ESH
- Eclipse Sporthorses

- Sep 16, 2023
- 2 min read
Updated: Nov 10
2019 Black Elite Oldenburg Mare IN FOAL to CADEAU NOIR
$32,000

Gorgeous mare by Rodioso (Rodiamont/Furioso II) and out of the mare, Matera (Maronjo/Goldschlaeger). Received an Elite Premium award at her foal inspection.
.
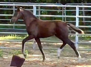
Captivating ELITE black Oldenburg Mare by Rodioso!
2019 GOV Oldenburg mare by Rodioso, out of a big Maronjo/Godlschlaeger mare. Elastic mover with natural suspension and an elegant head and well defined neck. Three powerful gaits and very well balanced. Beautiful type and well developed for her age. As sweet as they come, mellow disposition and easy to work with. Will mature to 16.2+ hh.
Her sire, Rodioso (Rodiamont/Furioso II), was approved by the German Oldenburg Verband in 1999 and achieved scores of '10' on character, '9' on conformation and '8's' on temperament and ridability. He has an outstanding show record that goes thru Grand Prix. He was the Grand Champion Stallion at Dressage at Devon. His foals have quiet temperaments and almost all of his foals are rated premium at inspection.
This mare is out of the gorgeous dam, Matera. Matera is by the highly successful dressage stallion Maronjo and out of a mare by Goldschlaeger. She is big, correct mare with substantial bone. Very feminine type, gorgeous head and neck, and well-balanced. She is a big, powerful mover with great push from behind. She has produced many very nice foals and is a great mother.
She is a bit bleached from the Florida sun in her pictures, but she has been genetic tested black. Negative for WFFS.
Inspected and received an elite foal award from GOV with exceptional comments from the inspectors. Ready for her partner. Lightly backed. Price subject to increase with training.
In foal to the phenomenal stallion, Cadeau Noir, for an early 2025 foal. Offered for sale with or without her 2024 foal.
We love watching our babies grow! Check out our Young Horse Program for more information on our affordable programs to raise young prospects on our farm.
$32,000 IN FOAL to CADEAU NOIR

VIDEO AT LIBERTY (JULY 2023):
VIDEO FREE JUMP:
PICTURES - 2023
VIDEO AT LIBERTY (2019)
TWO YEAR OLD PICTURES
FIRST YEAR PICTURES
PEDIGREE





















































































Love her!